CHO THUÊ NHÀ XƯỞNG – HỘI NGHĨA, TÂN UYÊN, BD – 2.126m²

Ngày đăng: 27/12/2025   -   Ngày hết hạn: 31/05/2026

Diện tích: Giá: Thỏa thuận Quận/Huyện: Thị xã Tân Uyên Tỉnh/Thành phố: Bình Dương

CHO THUÊ NHÀ XƯỞNG – HỘI NGHĨA, TÂN UYÊN, BD – 2.126m²
Thông tin chi tiết
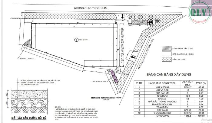
Vị trí: Phường Hội Nghĩa, TP Tân Uyên, Tỉnh Bình Dương
Tổng diện tích khuôn viên: 4.300m²
Tổng diện tích xây dựng: 2.126m²
Tiện ích & đặc điểm
Kết cấu khung thép kiên cố, nền bê tông chịu tải trọng cao
Trang bị hệ thống PCCC tự động đạt chuẩn
Điện 3 pha công suất lớn, nước máy đầy đủ
Đường nội bộ rộng rãi, xe container ra vào thuận tiện
Phù hợp sản xuất, kho chứa hàng hoặc xưởng gia công
Vị trí thuận lợi
Nằm tại khu vực phát triển công nghiệp của TP Tân Uyên, kết nối nhanh đến các tuyến đường chính như DT746, DT747 và KCN Nam Tân Uyên, thuận tiện di chuyển đến TP Thủ Dầu Một và TP Hồ Chí Minh
Liên hệ
CÔNG TY TNHH MTV QUÝ LỘC VƯỢNG
Hotline: 0931 769 444
Website: https://nhaxuongchinhchu.vn
Liên hệ:

Ms Chi

Điện thoại: 0933531306

Email: chihoqlv08@gmail.com

Hình ảnh

Video

Bản đồ

Cho thuê kho, nhà xưởng Tại Thị xã Tân Uyên

CHO THUÊ NHÀ XƯỞNG – CCN PHÚ CHÁNH, TÂN UYÊN, BD – 6.334m²

CHO THUÊ NHÀ XƯỞNG – CCN PHÚ CHÁNH, TÂN UYÊN, BD – 6.334m² Thông tin chi tiết Vị trí: Cụm Công Nghiệp Phú Chánh, TP. Tân Uyên, Tỉnh Bình Dương Tổng diện tích khuôn...

Diện tích: Không xác định

Khu vực: Thị xã Tân Uyên, Bình Dương Ngày: 14:18 | 09/01/2026 Giá: Thỏa thuận

Cho thuê xưởng mới Tân Uyên – Bình Dương 2.400m² – 4.700m² – 7.200m² PCCC tự động

Cho thuê xưởng mới Tân Uyên – Bình Dương 2.400m² – 4.700m² – 7.200m² PCCC tự động Cần cho thuê nhà xưởng mới 100% tại Tân Uyên – Bình Dương, vị trí trung...

Diện tích: 7200 m2

Khu vực: Thị xã Tân Uyên, Bình Dương Ngày: 09:25 | 09/01/2026 Giá: 561,000,000 Vnđ

CHO THUÊ NHÀ XƯỞNG – KCN NAM TÂN UYÊN, BD – 31.400m²

CHO THUÊ NHÀ XƯỞNG – KCN NAM TÂN UYÊN, BD – 31.400m² Thông tin chi tiết Vị trí: Khu Công Nghiệp Nam Tân Uyên, Tỉnh Bình Dương Tổng diện tích khuôn viên: 50.556m² Tổng...

Diện tích: Không xác định

Khu vực: Thị xã Tân Uyên, Bình Dương Ngày: 15:41 | 07/01/2026 Giá: Thỏa thuận

CHO THUÊ XƯỞNG TÂN UYÊN – GẦN VSIP 2 dt 2000M2

CHO THUÊ XƯỞNG TÂN UYÊN – GẦN VSIP 2 DT xưởng: 2.000m² (26m x 76m) Khuôn viên: 3.300m² Điện: 400 KVA PCCC tự động nghiệm thu Cont ra vào 24/24 Hoàn công...

Diện tích: 11200 m2

Khu vực: Thị xã Tân Uyên, Bình Dương Ngày: 12:12 | 30/12/2025 Giá: 145,000,000 Vnđ

CHO THUÊ NHÀ XƯỞNG – KCN NAM TÂN UYÊN, BD – 28.834m²

CHO THUÊ NHÀ XƯỞNG – KCN NAM TÂN UYÊN, BD – 28.834m² Thông tin chi tiết Vị trí: Khu Công Nghiệp Nam Tân Uyên, Tỉnh Bình Dương Tổng diện tích khuôn viên: hơn 40.000m² Tổng...

Diện tích: Không xác định

Khu vực: Thị xã Tân Uyên, Bình Dương Ngày: 11:33 | 27/12/2025 Giá: Thỏa thuận

CHO THUÊ NHÀ XƯỞNG – UYÊN HƯNG, TÂN UYÊN, BD – 9.100m²

CHO THUÊ NHÀ XƯỞNG – UYÊN HƯNG, TÂN UYÊN, BD – 9.100m² Thông tin chi tiết Vị trí: Phường Uyên Hưng, TP. Tân Uyên, Tỉnh Bình Dương Tổng diện tích khuôn viên: 15.360m² Tổng...

Diện tích: Không xác định

Khu vực: Thị xã Tân Uyên, Bình Dương Ngày: 16:34 | 26/12/2025 Giá: Thỏa thuận

CHO THÊU XƯỞNG TÂN UYÊN BÌNH DƯƠNG, DT 1600m2, TIẾP ĐA NGÀNH, PHÁP LÝ CHUẨN

CHO THÊU XƯỞNG TÂN UYÊN BÌNH DƯƠNG, DT 1600m2, TIẾP ĐA NGÀNH, PHÁP LÝ CHUẨN–Diện tích đất : 2.200 m2 – K.VIÊN riêng –Diện tích xưởng xây dựng : 1.600 m2–Văn phòng...

Diện tích: 1600 m2

Khu vực: Thị xã Tân Uyên, Bình Dương Ngày: 08:39 | 23/12/2025 Giá: 130,000,000 Vnđ

CHO THUÊ 12.800M² NHÀ XƯỞNG – TÂN UYÊN BÌNH DƯƠNG pháp lý đầy đủ, tiếp đa ngành nghề, sản xuất

CHO THUÊ 12.800M² NHÀ XƯỞNG – TÂN UYÊN BÌNH DƯƠNG Nhà xưởng lớn trong cụm công nghiệp, pháp lý đầy đủ, tiếp đa ngành nghề, sản xuất 24/24. ???? DT đất: 16.000...

Diện tích: 12800 m2

Khu vực: Thị xã Tân Uyên, Bình Dương Ngày: 09:27 | 18/12/2025 Giá: 936,000,000 Vnđ

Xem thêm các tin khác tại khu vực này